Imagerie médicale : radiographie, échographie, scanner et endoscopie
Les examens d'imagerie médicale permettent de voir l'intérieur du corps de l'animal sans l'ouvrir physiquement. Radiographie, échographie, scanner et endoscopie ont chacun leurs avantages et leurs inconvénients.
Des examens réalisés à la clinique ou chez Azurvet, notre partenaire
Certains de ces examens ne sont pas réalisés à la clinique Cap Sud. Le cas échant, le Docteur Lacoste vous orientera vers le centre d'imagerie médicale Azurvet. Nous serons tenus au courant en temps réel des résultats et nous reprendrons en charge votre animal dès que les examens nécessaires auront été effectués.
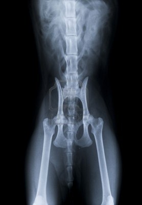
La radiographie permet de visualiser les os et certains organes
La radiographie est le moyen d'imagerie médicale le plus ancien. Cet outil permet de visualiser un certain nombre des structures internes tels que :
- les os et leurs éventuelles fractures
- le cœur et certaines de ses déformations
- les poumons et les opacifications pathologiques
- les intestins
- d'eventuels foetus et leur nombre sur chienne et chatte gestante de plus de 45 jours
Si la plupart du temps, les radiographies peuvent être réalisées sur l'animal éveillé, d'autres nécessiteront une "tranquillisation" afin d’éviter que le sujet ne bouge.
L'échographie et le Doppler offre une vision dynamique
L'échographie et le Doppler permettent de voir d'autres structures et d'avoir une vision de leur dynamisme. On peut par exemple visualiser les valves du cœur et savoir si elles se ferment correctement et au bon moment durant le cycle cardiaque.
Le scanner est très performant mais nécessite une anesthésie de l’animal
Le scanner sera indiqué dans d'autres cas de figure. Parce que cet examen nécessite que l'animal soit anesthésié, sa réalisation sera soumise à une évaluation entre le risque et le bénéfice.
L'endoscopie permet d’ôter des corps étrangers
L'endoscopie est aussi un moyen d'investigation qui nécessite une anesthésie. Il offre une vision directe donc extrêmement précise et permet parfois d'ôter des corps étrangers, par exemple dans les intestins.


